12、幼儿园、小学属于城市用地分类中的( )。A、居住用地 B、公共设施用地
C、市政公用设施用地 D、绿地
13、以下各项指标中不属于控制性详细规划规定性指标的是( )。(多选) A、用地性质 B、停车泊位及其他需要配置的公共设施
C、人口容量 D、地块内主体建筑控制线14、控制性详细规划中不属于用地控制的是( )。
A、用地兼容性 B、容积率
C、用地位置与边界 D、最小地块规模15、影响住宅建筑密度的指标为( )。
A、日照间距 B、容积率 C、人口住宅面积 D、绿地率16、城市住宅区绿地率的控制,新区建设不应低于( )。
A、45%;35% B、35%;30% C、30%;25% D、28%;22%
17、居住区机动车道纵坡应控制为( )。
A、3%≤x≥12% B、2%≤x≥10% C、1%≤x≥9% D、0.3%≤x≥8% 18、交通规划与管理中实行公交优先的方法不包括以下( )。
A、设置公共交通专用道
B、设置定时的公共交通专用道路
C、城市单行道变成公共交通专用道,而且允许定时双向通行D、设置公共交通优先通行的交通标志
19、地面停车占地( )m2/辆,地下停车位占地( )m2/辆。A、25~30;30~35 B、20~25;25~30
C、15~20;20~25 D、30~35;35~40 20、城市干道的适当间距为( )m。
A、500~600 B、600~800 C、700~1100 D、1000~1200
21、城市道路按国标分类为( )。
A、高速度、快速路、中速路、慢速路B、高速路、快速路、主干路、次干路
C、交通性道路、生活性道路
D、快速路、主干路、次干路、支路
22、城市用水主要有四类,分别是( )。
A、生活用水、工业用水、市政用水、消防用水B、生活用水、工业用水、绿化用水、消防用水C、生活用水、生产用水、市政用水、消防用水D、生活用水、生产用水、绿化用水、消防用水
23、城市道路宽度超过( )m 时,可以在道路两侧各设一条污水管。A、60 B、50 C、40 D、30
24、城市道路宽度大于等于( )m 时,宜两侧设置消防栓,一般消防栓距建筑墙体距离应大于( )m。
A、60;0.5 B、60;1.5 C、50;0.5 D、50;1.5
25、历史文化名城保护规划的内容深度与下列( )阶段一致。A、城市总体规划 B、城市设计
C、城市控制性详细规划 D、城市修建性详细规划
26、以下各项管理程序中( )由县级以上地方人民政府城市规划行政主管部门负责管理。
(多选)
A、计划立项 B、项目建议书
C、规划选址意见书 D、建设项目可行性研究报告E、建设用地规划许可证 F、建设用地批准书
G、征用土地开工建设
27、城市规划实施监督检查是城市规划管理( )阶段的工作。A、划拨用地阶段 B、批准建设工程规划许可证阶段
C、批后管理阶段 D、贯穿城市规划实施管理的全过程
28、县级以上人民政府所在地镇的城市规划,由( )负责组织编制。A、县所在市人民政府 B、县级人民政府
C、镇人民政府 D、县所在市人民政府的规划行政管理部门29、市管辖的县级人民政府所在地镇的总体规划,报( )审批。
A、镇人民政府 B、县人民政府
C、市人民政府 D、市人民政府规划行政管理部门
30、住宅日照标准中,旧区改造时日照标准大寒日以( )为标准。
A、不低于 2h B、不低于 1.5h C、不宜低于 1h D、不低于 0.5h
三、简述题(每题 10 分×7=70 分)
1、简述雅典宪章和马丘比丘宪章的基本观点及其主要差别。
2、试述中心地理论(centraplace theory)的主要概念及在城市规划中的意义。3、城市用地综合评价要考虑的因素。
4、比较我国改革前与改革后城市土地使用制度的特点。
5、我国现有的城市规划编制体系及其特点。
6、20 万、50 万、100 万人口城市的防洪标准?城市防灾规划中的生命线系统包括哪些?
7、城市规划实施管理的构成内容,并简述其中建设工程规划管理的主要内容。
四、分析题(每题 15 分×2=30 分)
1、XX 市是南方一个内陆平原城市,属县级市,市区位于沪宁铁路线上,全市共有 32 各建制镇,请你对该市域城镇体系规划进行评价,重点指出其不当之处(见图 1)。
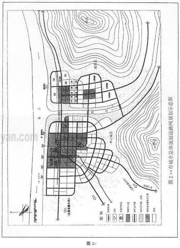
2、XX 市为我国中部地带滨江河丘陵地区的中等城市,城市规划远期将发展成为大城市(综合性港口工业城市)。城市用地发展方向为:中心城区组团沿江向西、沿河向南平缓地发展,作为全市居住、文化教育科研新城区。形成全市两个组团式布局结构形态。城市远景向西和西南地区发展。
交通现状:区域性铁路和公路通过城市。中心城区设有铁路货站和客站(铁路货站在城市对侧、客站与城市同侧布置),已建有工业货运码头和客货(混合)码头,西部有两条对外公路,西南部和东南部各有一对外公路(其中西南公路与机场相联系);长途汽车站(客站)位于老城区边缘;城东区组团东部和南部各有一条对外公路。
请对该城市总体规划中道路网规划的不足之处进行指正,并图示修改建议方案(见图 2)。
华中科技大学 2007 年硕士研究生入学考试试题
城市规划原理
一、名词解释(每题 4 分×5=20 分) 1、城市土地使用
2、绿地率
3、旧城更新
4、外部性(外部效应)
5、五线规划
二、选择题(每题 1 分×30=30 分)
1、人类社会的城市化进程是与( )密切相关的。A、工业化进程 B、农业化进程
C、产业调整 D、国家政策
2、霍华德提出的( ),标志着现代城市规划出现了比较完善的理论体系和实践框架。 A、花园城市 B、乡村城市
C、田园城市 D、古典农庄
3、城市环境保护规划是城市规划的重要组成部分,属城市( )范畴。A、主干规划 B、专项规划
C、相关规划 D、从属规划
4、修建性详细规划的成果包括( )。
A、文本和图纸 B、规划说明书和图纸C、规划说明书和文本 D、文本和建筑蓝本
5、行政区划的概念指( )。
A、行政区划是国家的结构体制安排,是国家根据政权建设、经济建设和行政管理的需要,遵循有关的法律规定,考虑多种客观因素,按照一定的原则,将全国领土划分成若干行政区域并在各区域设置相关的地方机关,实施行政管理
B、行政区划是国家的行政机关,具有独立的行政权C、行政区划是国家特设的主管经济的行政部门
D、A、B 和C
6、对于城市开发和城市土地资源配置而言,市场机制的缺陷和低效主要存在的因素有( )。A、外部不经济性:近期利益的驱动
B、忽而略公共设施:出现合成谬误C、社会价值判断的缺乏
D、A、B 和C
7、《中华人民共和国城市规划法》的施行,标志着我国城市规划管理工作进入了一个新的历史阶段,它的施行时间是( )。
A、1980 年 4 月 1 日 B、1985 年 4 月 1 日
C、1990 年 4 月 1 日 D、1995 年 4 月 1 日
8、城市总体规划审批的一般程序是( )。
A、论证规划方案、报请人大审议、城市政府组织审核、公布整体规划、公布批准的规划B、论证规划方案、城市政府组织审核、报请人大审议、公布整体规划、公布批准的规划C、论证规划方案、报请人大审议、城市政府组织审核、公布批准的规划、公布整体规划D、论证规划方案、城市政府组织审核、报请人大审议、批准整体规划、公布批准的规划9、下列关于城市规划组织编制主体的论述中,不正确的是( )。
A、村庄集镇规划组织编制主体是县级人民政府B、城市规划组织编制主体是城市人民政府
C、直辖市和市城市总体规划有城市人民政府组织编制
D、县级以上人民政府所在地镇的总体规划,由县级人民政府负责组织编制10、下列不是建筑工程管理的内容是( )。
A、建筑物样式的控制 B、建筑物高度的控制
C、建筑物使用性质的控制 D、建筑物容积率的控制
11、下列关于城市用地分类及其表示符号不相一致的是( )。A、居住用地(R) B、公共设施用地(C)
C、工业用地(I) D、市政公用设施用地(U)
12、我国工程建设从地震基本烈度( )度开始设防。A、5 B、6 C、7 D、8
13、城市产业结构的演化趋势不表现在( )。A、从第二产业主导到第三产业主导
B、从内向型经济主导到外向型经济主导C、从传统制造业主导道高科技产业主导
D、从水平空间经济结构到垂直空间经济结构
14、按照联合国有关规定,( )城市可称为“老年型城市”
A、60 岁以上老年人口达 10%以上 B、65 岁以上老年人口达 10%以上C、60 岁以上老年人口达 7%以上 D、70 岁以上老年人口达 7%以上
15、巴西将首都迁往巴西利亚是为了促进内陆地区的发展,这是运用了( )。A、城市增长极核理论 B、城市全球化理论
C、经济部类理论 D、城市“对流”作用和“辐射”作用
16、对我国古代城市规划建设产生重要影响的《考工记》写于( )。A、春秋 B、西周 C、秦 D、汉
17、城市单项建设用地指标控制中居住用地一般占城市建设用地的比例是( )。A、12.0%~18% B、20%~25% C、20%~32% D、25%~32%
18、根据国家《城市用地分类与城市规划用地标准》,工业用地人均指标应控制在( )m2/ 人,占城市建设用地结构( )%。
A、12.0~15.0;12~15 B、10.0~25.0;15~25 C、7.0~15.0;15~25 D、7.0~15.0;8~15


