快速导航
考研新闻
统考公共课
统考专业课
考研指南经验
考研院校
专业硕士
专业课资料
考研电子书
考试考证
出国留学
Free考研考试
题库
故事
专题
APP
笔记
论坛
搜索
VIP
资料
首页
>
考研资料和经验
>
专业课考研经验
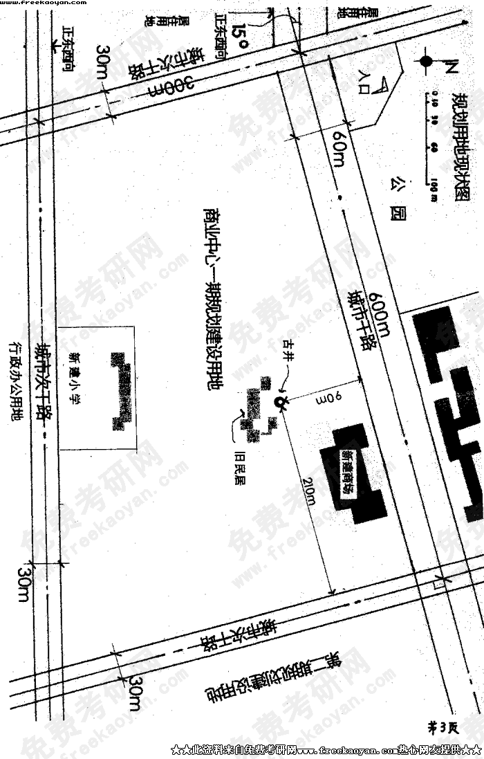
华中科技大学2004年考研真题-规划设计一
本站小编 FreeKaoyan/2018-01-22
相关话题/
华中科技大学
考研真题
领限时大额优惠券,享本站正版考研考试资料!
优惠券领取后72小时内有效,10万种最新考研考试考证类电子打印资料任你选。涵盖全国500余所院校考研专业课、200多种职业资格考试、1100多种经典教材,产品类型包含电子书、题库、全套资料以及视频,无论您是考研复习、考证刷题,还是考前冲刺等,不同类型的产品可满足您学习上的不同需求。 ...
考试优惠券
本站小编 Free壹佰分学习网 2022-09-19
华中科技大学2004年考研真题-汉语及写作试题
专业课考研经验
本站小编 FreeKaoyan 2018-01-22
华中科技大学2004年考研真题-宏观经济学试题
专业课考研经验
本站小编 FreeKaoyan 2018-01-22
华中科技大学2004年考研真题-汉语言文字及写作试题
专业课考研经验
本站小编 FreeKaoyan 2018-01-22
华中科技大学2004年考研真题-环境微生物学
专业课考研经验
本站小编 FreeKaoyan 2018-01-22
华中科技大学2004年考研真题-互换性与技术测量
专业课考研经验
本站小编 FreeKaoyan 2018-01-22
华中科技大学2004年考研真题-会计学
专业课考研经验
本站小编 FreeKaoyan 2018-01-22
华中科技大学2004年考研真题-环境系统分析与建模
专业课考研经验
本站小编 FreeKaoyan 2018-01-22
华中科技大学2004年考研真题-机械设计基础试题
专业课考研经验
本站小编 FreeKaoyan 2018-01-22
华中科技大学2004年考研真题-计算机原理及应用
专业课考研经验
本站小编 FreeKaoyan 2018-01-22
华中科技大学2004年考研真题-建筑设计(二)
专业课考研经验
本站小编 FreeKaoyan 2018-01-22
华中科技大学2004年考研真题-建筑历史试题
专业课考研经验
本站小编 FreeKaoyan 2018-01-22
华中科技大学2004年考研真题-交通工程
专业课考研经验
本站小编 FreeKaoyan 2018-01-22
华中科技大学2004年考研真题-建筑设计一(建筑设计及其理论)
专业课考研经验
本站小编 FreeKaoyan 2018-01-22
华中科技大学2004年考研真题-教育经济学试题
专业课考研经验
本站小编 FreeKaoyan 2018-01-22
华中科技大学2004年考研真题-教育管理学试题
专业课考研经验
本站小编 FreeKaoyan 2018-01-22